刚刚,“拦路”宏运大道多年的南站鑫泰国际广场小区喜提“征收公告”!与此同时,“梗阻”了超10年的宏运大道也要畅通了!
01
官方公告发布!鑫泰国际广场喜提拆迁
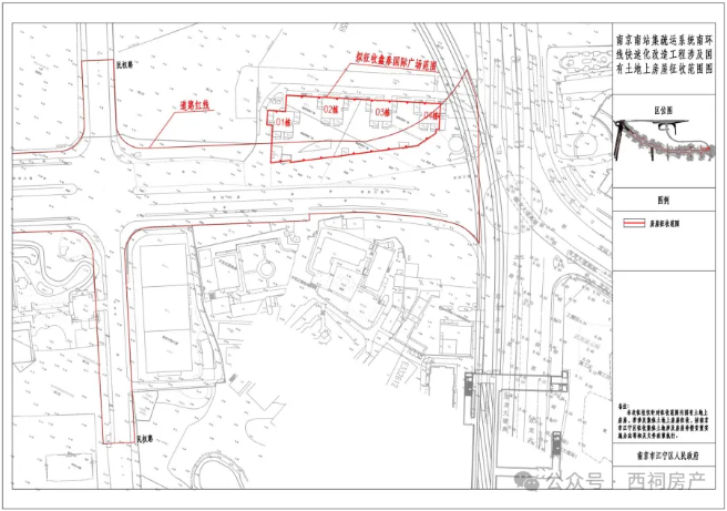
近日,“撤回2019年9月29日《南京市江宁区人民政府房屋征收决定》(江宁府征字〔2019〕第7 号)”与“南京南站集疏运系统南环线快速化改造工程涉及国有土地上房屋征收范围”等公告相继发布。这意味着位于双龙大道568号的鑫泰国际广场不仅门口的停车场要被拆除,小区的4栋高楼以及底商也将同步喜提拆迁。
公告显示,早在2019年,为了公共利益的需要,江宁区人民政府于2019 年9月29日作出《南京市江宁区人民政府房屋征收决定》(江宁府征字〔2019〕第 7 号),决定对双龙大道568号鑫泰国际广场904平方米停车场予以征收,并公告了《南京南站综合枢纽快速环线宏运大道工程公共用地征收补偿实施方案》。因宏运大道快速化改造方案调整,原南京南站综合枢纽快速环线宏运大道工程暂停实施,故该征收决定作出至今未实施征收工作。
如今,江宁区相关部门已对南京南站集疏运系统南环线快速化改造工程涉及国有土地上房屋征收范围进行了论证,据征收范围图显示,鑫泰国际广场的居民楼以及底商都将迎来征收。
征收范围如下↓
02
搁置超10年!宏运大道要“通”了
作为南京南站集疏运系统南环线快速化改造的关键一环,宏运大道位于南京南站南侧,是连接江宁岔路口与南京主城南部的重要通道。长期以来,该路段存在显著的通行瓶颈:自双龙大道交叉口向西约150米范围内,由双向8车道缩水成双向4车道,并且未设置独立的非机动车道,导致电动自行车与机动车混行,形成“肠梗阻”,不仅影响通行效率,也存在极大的安全隐患。
据悉,这条道路梗阻点就在鑫泰国际广场。该项目由四幢12-13层的居民楼加上三层商业裙楼组成,居民大约160多户。
据相关报道显示,南站江宁综管办工作人员表示,宏运大道上一次改造完成至今约10年时间,当时留下了鑫泰国际广场前面这段路的问题。如果要全线八车道,就要占用鑫泰国际广场项目红线范围,但当时没谈拢,而八车道的道路形态不能变,所以建了一半道路,另一半相当于是“待建”。
根据《南京南站集疏运系统南环线快速化改造工程环境影响评价公众参与座谈会公告》,建设单位表示:根据相关批复文件,鑫泰国际广场整体拆除,先拆除再施工。具体征迁工作由江宁区政府实施,后续根据环评稳评等前期工作情况依法依规征迁。
如今搁置了10年后,随着南京南站集疏运系统南环线快速化改造工程的启动,宏运大道堵点终于要被破除!
03
现场实探:征收公告上墙
那么这一“堵点”鑫泰国际广场现状如何?今日(12月16日),西祠房产进行了现场实探。
西祠房产在现场看到,鑫泰国际广场以及门前的停车场占据的宏运大道的的半幅路面,让宏运大道双向8车道缩水成了双向4车道,北侧非机动车道直接“消失”。
鑫泰国际广场门口停满了机动车。

目前,鑫泰国际广场房屋征收公告已经上墙。
鑫泰国际广场整体看起来较为老旧,门口部分底商已经关门。据了解,该小区由江苏鑫泰置业有限公司开发,2005年竣工,房龄已经有20年。

宏运大道改造后续情况如何,西祠房产将持续关注。